“Grief is like the ocean; it comes on waves ebbing and flowing. Sometimes the water is calm, and sometimes it is overwhelming. All we can do is learn to swim.” ― Vicki Harrison In June 2021 Iivo went suddenly and unexpectedly very ill. Despite all efforts he passed away after 4 days in IC Unit. He had passed a complete health examination in Feb 2021 so it was quite a shock that autopsy revealed a very aggressive T-cell lymphoma which had rapidly metastasized to almost all his organs. Iivo was fighting hard but he didn't have a slightest chance. The Dog Of My Life was taken violently way too soon. <3
Iivo is the first born in Hilda’s first litter, sired by Exgate’s Unique Utah By Nelvis. Big, strong, independent and stubborn. Also very happy and always onto something. Iivo has a very strong pray drive and he could run after pray for hours. He is balanced, moderately angulated and he has oustanding movements with excellent reach and drive.
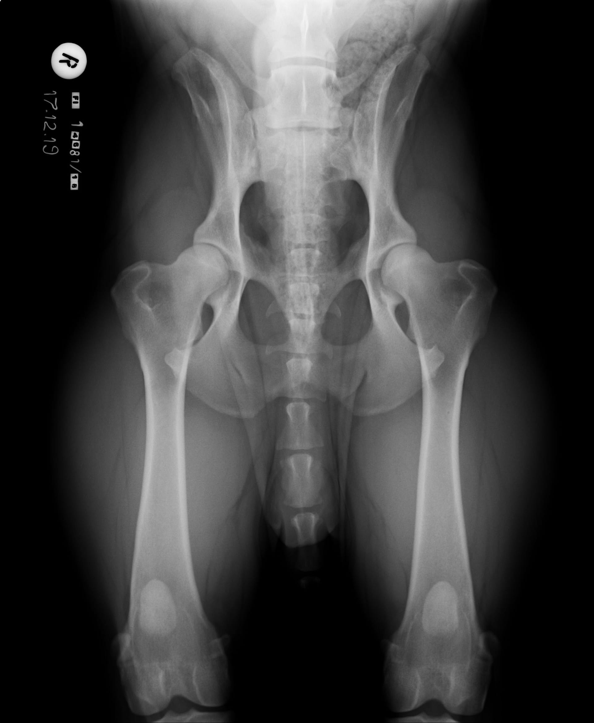
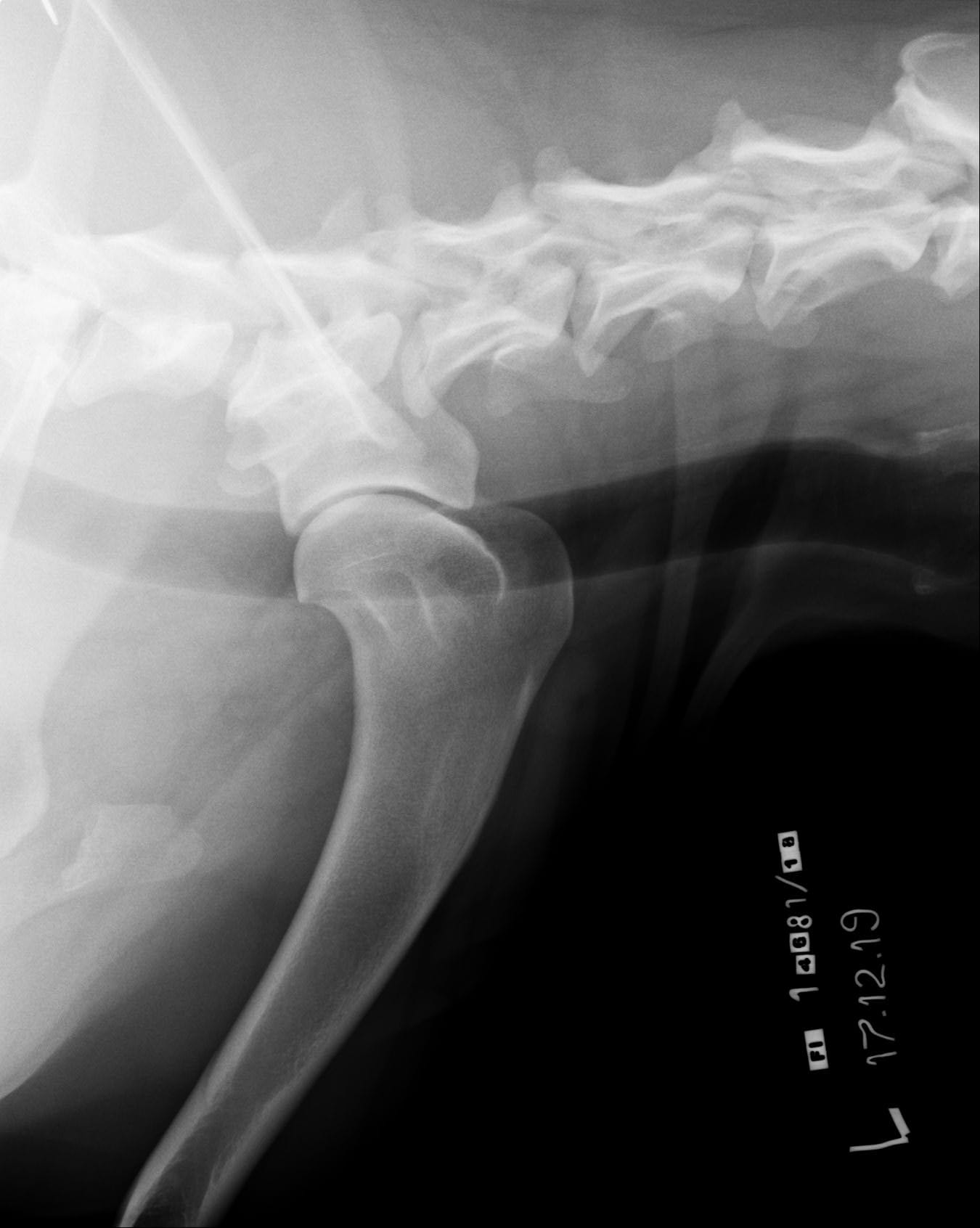
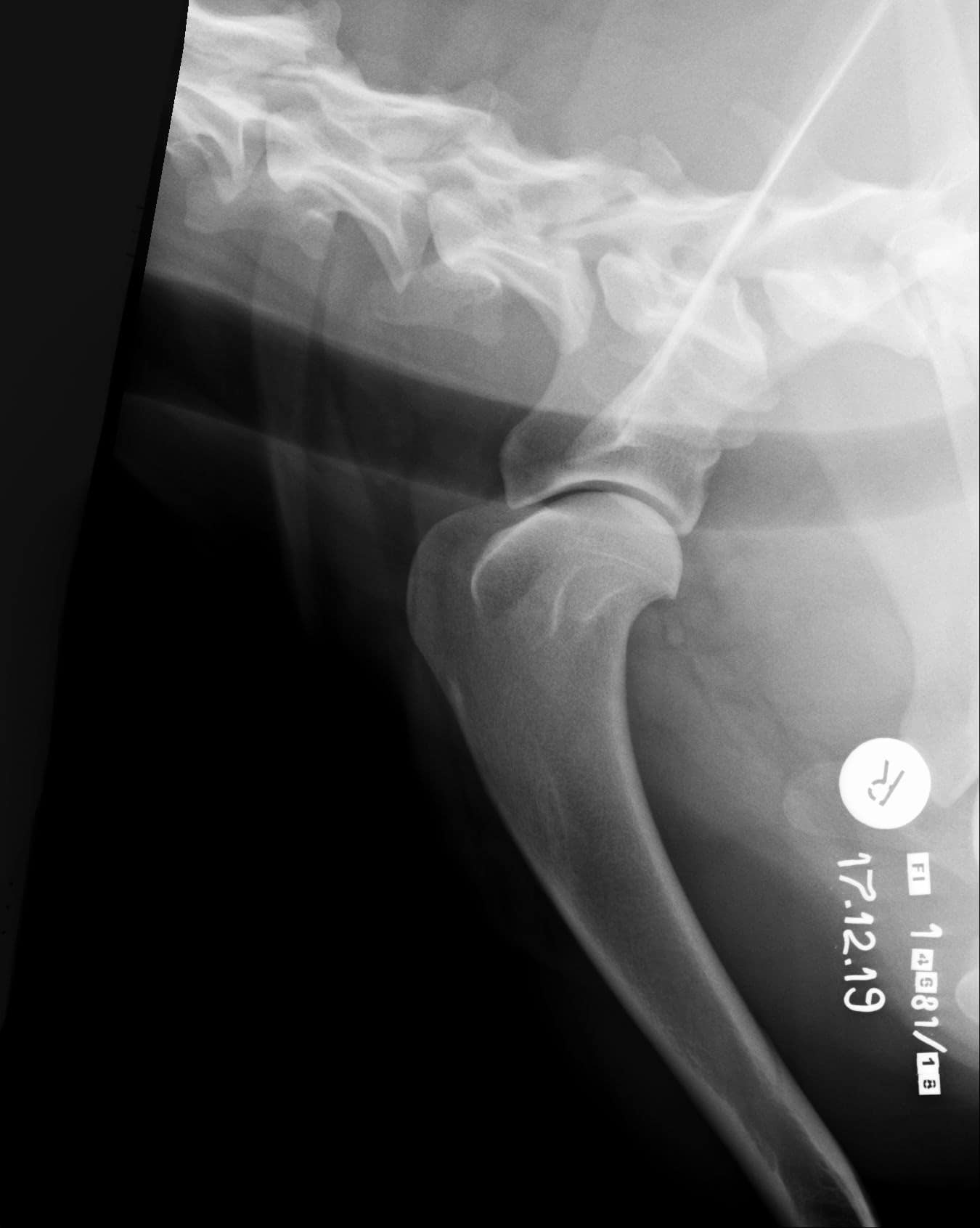
So far Iivo has been very healthy and he passed health screenings with flying colors in December 2019. Mental description (MH, gunshot proof) Iivo passed in August 2020.

| Name: | BISS, C.I.B., FI CH, S CH, N CH, EE CH, HeJW-18 Lumottu Hildasønn Ivar Av Utah | |
| DOB/DOD: | 16.12.2017 - 16.6.2021 | |
| Height: | 71 cm | |
| Weight: | 48 kg | |
| Teeth: | Full scissorbite | |
| Ridge: | R/r | |
| Color: | red wheaten | |
| Liver gene: | B/b (carrier) | |
| Tan points (at): | T/T (no carrier) | |
| Dilution (d2): | G/G (no carrier) | |
| JME: | N/N | |
| DM: | N/N | |
| EOAD: | High confidence clear | |
| Hips: | A/A | |
| Elbows: | 0/0 | |
| Shoulders: | Unaffected/ Unaffected | |
| Spine: | LTV0, SP0, VA0 |
| BISS, C.I.B. FI CH, S CH, N CH, EE CH |
| Helsinki Junior Winner -18 |
| BIS4 x 2 |
| BIG1 x 2 |
| BIG2 |
| CACIB x 5 |
| FI CAC x 15 |
| NORD CAC x 3 |
| Gatekeeper's Trophy 2019 |
| #3 Show Ridgeback 2019 |
| #5 Show Ridgeback 2018 |
| BISS 2021 (Norway) |
| BOB in SRB Open show 2019 |
| Best head in SRB Open show 2019 |
| Best movements in SRB Open show 2019 |
| Best ridge in SRB Open show 2018 |


Iivo had a great start in the showrings. In 2018 he collected 7 x BOB-puppy with HP. During 2019 he gained several BOBs and 2 BIS4-placements; in Oulu IDS and Porvoo all breed show. Iivo has collected 15 CACs, 3 NORD CACs and 3 CACIBs in Finland, Sweden and Estonia and CAC in Sweden and Estonia. The great 2019 year was crowned with challenge trophy by The Ridgeback Club Of Finland, Gatekeeper’s Trophy. In 2020 Iivo finished his International Champion title.
In summer 2020 Iivo had great success in Norway, where he won not only one but two breed specialties arranged by Norsk Rhodesian Ridgeback Klub. The main specialty, BISS 2020, was judged by Norwegian Svein Helgesen.


^Iivo running for the best of breed in Helsinki NORD show in September 2019
In September 2019 Iivo had his first lure coursing trial in Helsinki and he did very well by winning the trial with 449 points. He also gained the title Helsinki Sighthound Club Coursing Champion.
Hopefully Iivo has many trials ahead in the future!





































