
Puppies were born in April 19th 2021, 4 males and 3 females (1 ridgeless, 1 hidden crown, no DS or kink tails detected). The sire is our home bred Lumottu Hildasønn Ivar Av Utah “Iivo” and dam Harmakhis Wisdom Amarone Mme Chanel (imp. Italy). This litter was bred in cooporation with kennel Finnridge and Leni Finne, who is the owner of Chanel.
Follow the puppies’ path in the Puppy Diary, from the making until they fly from nest! All info about the 3rd Edition dogs you find on their own page.


DOB:
Sire:
Dam:
16.12.2017
Exgate’s Unique Utah By Nelvis
Aries Khan Margaret Tatcher Of Lumottu
DOB:
Sire:
Dam:
22.10.2016
Ridgerules Ifa My Treasure
Harmakhis Wisdom Quasha


| Hips: | A/A | ||
| Elbows: | 0/0 | ||
| Shoulders: | Unaffected/unaffected | ||
| Spine: | LTV0, SP0, VA0 | ||
| DM: | N/N | ||
| JME: | N/N | ||
| EOAD: | N/N | ||
| Dilute: | G/G |
Iivo has been very successful in the show ring and has gained several champion titles. He passed the mental description test (MH) in August 2020 with excellent results.
More about Iivo on his own page.
| Hips: | A/C | ||
| Elbows: | 0/0 | ||
| Shoulders: | unaffected/unaffected | ||
| Spine: | LTV3, SP0, VA0 | ||
| DM: | N/N (by parentage) | ||
| JME: | N/N (by parentage) | ||
| Dilute: | G/G (by parentage) |
Chanel attended her first shows in September 2020. She was rewarded with excellent and CAC in all 3 shows and . Therefore she finished her champion title with only three shows. Chanel passed a mental description (MH) in August 2021.
| Name | ID | Birth weigth | Ridge | Height | Weight | Bite | Hips | Elbows | Shoulders | Spine | MH | Other |
|---|---|---|---|---|---|---|---|---|---|---|---|---|
| Lumottu Uljas Iivonpoika ft. Finnridge | Blue ♂︎ | 505 g | Correct | TBA | TBA | TBA | B/B | 0/0 | Unaffected/Unaffected | LTV1, SP0, VA1 | MH, gunshot proof | Low-grade MCT removed 06/2024 |
| Lumottu Aatos Iivonpoika ft. Finnridge | Turqoise ♂︎ | 530 g | Correct | TBA | TBA | TBA | B/B | 0/0 | Unaffected/Unaffected | LTV2, SP0, VA0 | MH, gunshot proof | |
| Lumottu Martta Iivontytär ft. Finnridge | Lime ♀︎ | 525 g | Correct | TBA | TBA | TBA | A/A | Xray: 0/0 CT: 3/1 | Unaffected/Open to interpretation | LTV0, SP0, VA0 | MH, unfamiliar to gunshot | |
| Lumottu Armas Iivonpoika ft. Finnridge | Orange ♂︎ | 440 g | Correct | TBA | TBA | TBA | A/A | 0/0 | Unaffected/Unaffected | LTV0, SP0, VA0 | MH, unfamiliar to gunshot | |
| Lumottu Aulis Iivonpoika ft. Finnridge | Aqua ♂︎ | 440 g | Correct | TBA | TBA | TBA | B/B | 1/1 | Unaffected/Unaffected | LTV1, SP0, VA0 | Handler interrupted | |
| Lumottu Irma Iivontytär ft. Finnridge | Pink ♀︎ | 550 g | Correct | TBA | TBA | TBA | C/B (low sockets) | 0/0 | Unaffected/Unaffected | LTV0, SP0, VA0 | Spring 2024 | |
| Lumottu Sirkka Iivontytär ft. Finnridge | No collar ♀︎ | 390 g | Ridgeless | TBA | TBA | TBA | A/A | 0/0 | Unaffected/Unaffected | LTV1, SP0, VA0 |


Lumottu Uljas Iivonpoika ft. Finnridge – DUNDEE

| Name: | Lumottu Uljas Iivonpoika ft. Finnridge |
| DOB: | 19.4.2021 |
| Sire: | Lumottu Hildasønn Ivar Av Utah |
| Dam: | Harmakhis Wisdom Amarone Mme Chanel |
| Height: | TBA |
| Weight: | TBA |
| Color: | red wheaten |
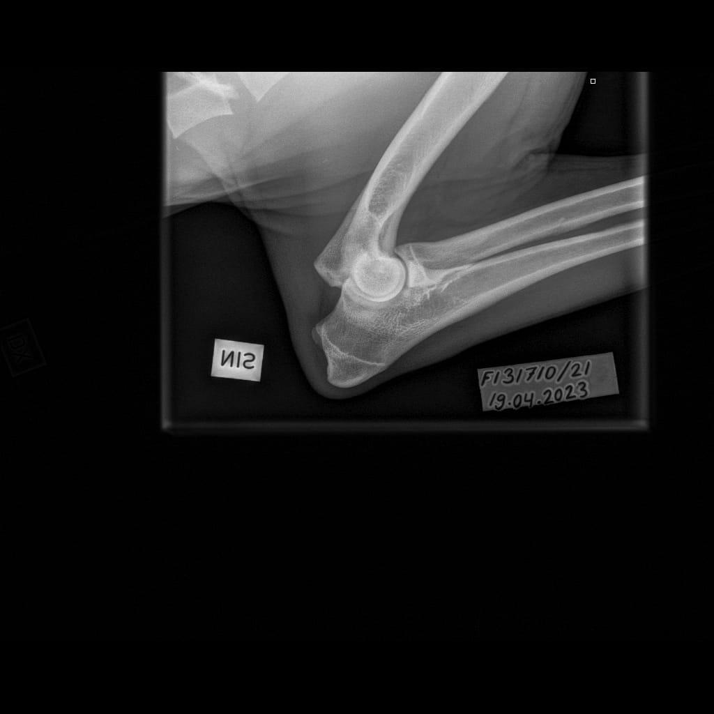
| Hips: | B/B |
| Elbows: | 0/0 |
| Shoulders: | Unaffected/Unaffected |
| Spine: | LTV1, SP0, VA1 |
MH 10.6.2023, videot







Lumottu Aatos Iivonpoika ft. Finnridge – URHO

| Name: | FI JCH Lumottu Aatos Iivonpoika ft. Finnridge | |
| DOB: | 19.4.2021 | |
| Sire: | Lumottu Hildasønn Ivar Av Utah | |
| Dam: | Harmakhis Wisdom Amarone Mme Chanel | |
| Height: | TBA | |
| Weight: | TBA | |
| Color: | red wheaten | |
| Hips: | B/B | |
| Elbows: | 0/0 | |
| Shoulders: | Unaffected/Unaffected | |
| Spine: | LTV2, SP0, VA0 |





Lumottu Armas Iivonpoika ft. Finnridge – RUDO

| Name: | FI CH, FI JCH Lumottu Armas Iivonpoika ft. Finnridge |
| DOB: | 19.4.2021 |
| Sire: | Lumottu Hildasønn Ivar Av Utah |
| Dam: | Harmakhis Wisdom Amarone Mme Chanel |
| Height: | TBA |
| Weight: | TBA |
| Color: | red wheaten |
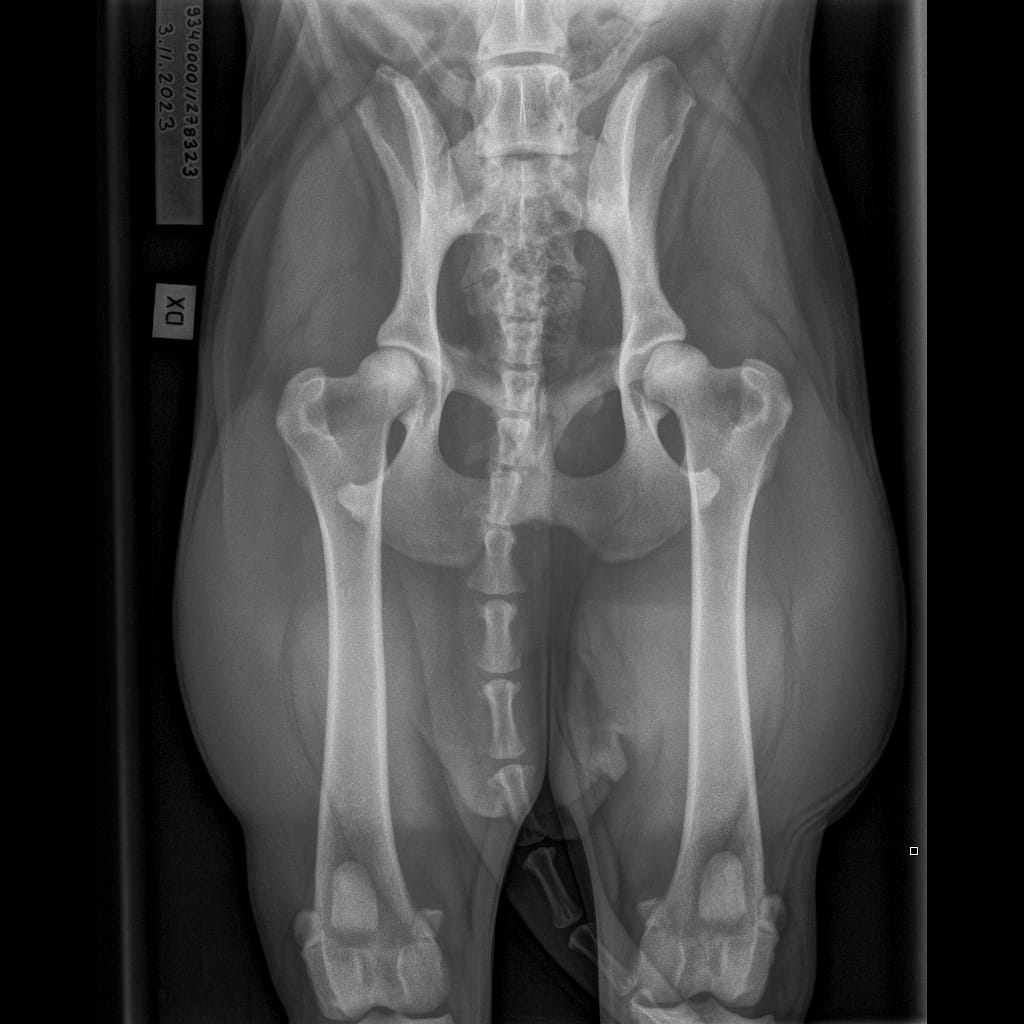
| Hips: | A/A |
| Elbows: | 0/0 |
| Shoulders: | Unaffected/Unaffected |
| Spine: | LTV0, SP0, VA0 |









Lumottu Martta Iivontytät ft. Finnridge – MARTTA

| Name: | FI CH, FI JCH Lumottu Martta Iivontytär ft. Finnridge |
| DOB: | 19.4.2021 |
| Sire: | Lumottu Hildasønn Ivar Av Utah |
| Dam: | Harmakhis Wisdom Amarone Mme Chanel |
| Height: | TBA |
| Weight: | TBA |
| Color: | red wheaten |
| Hips: | A/A |
| Elbows: | 0/0 (xray), 3/1 (CT) |
| Shoulders: | Unaffected/Open to interpretation |
| Spine: | LTV0, SP0, VA0 |








Lumottu Aulis Iivonpoika ft. Finnridge – KODA

| Name: | Lumottu Aulis Iivonpoika ft. Finnridge | |
| DOB: | 19.4.2021 | |
| Sire: | Lumottu Hildasønn Ivar Av Utah | |
| Dam: | Harmakhis Wisdom Amarone Mme Chanel | |
| Height: | 66 cm | |
| Weight: | TBA | |
| Color: | red wheaten | |
| Hips: | B/B | |
| Elbows: | 1/1 | |
| Shoulders: | Unaffected/Unaffected | |
| Spine: | LTV1, SP0, VA0 |





Lumottu Irma Iivontytät ft. Finnridge – IRMA
| Name: | FI CH, FI JCH Lumottu Irma Iivontytär ft. Finnridge |
| DOB: | 19.4.2021 |
| Sire: | Lumottu Hildasønn Ivar Av Utah |
| Dam: | Harmakhis Wisdom Amarone Mme Chanel |
| Height: | 67 cm |
| Weight: | 39 kg |
| Color: | red wheaten |
| Teeth: | Scissorbite, all teeth |
| Hips: | C/B (shallow sockets) |
| Elbows: | 0/0 |
| Shoulders: | Unaffected/Unaffected |
| Spine: | LTV0, SP0, VA0 |
Irma's MH description in autumn 2023 was cancelled due to her heat. A new try in June 2024 was again cancelled due to heat.











Lumottu Sirkka Iivontytär ft. Finnridge – SIRKKA
| Name: | Lumottu Sirkka Iivontytär ft. Finnridge | |
| DOB: | 19.4.2021 | |
| Sire: | Lumottu Hildasønn Ivar Av Utah | |
| Dam: | Harmakhis Wisdom Amarone Mme Chanel | |
| Height: | 64 cm | |
| Weight: | 35 kg | |
| Color: | red wheaten | |
| Hips: | A/A | |
| Elbows: | 0/0 | |
| Shoulders: | Unaffected/Unaffected | |
| Spine: | LTV1, SP0, VA0 |
























